6 mai 2013 – Le futur de l’avenue de Vanières à Montpellier

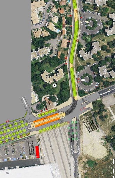
Intersection de la rue de Bugarel et de l’avenue de Vanières. Document tiré du dossier E de l’enquête publique

La rue de Bugarel et la station « Stade Yves du Manoir » au milieu de l’avenue de Vanières

Ajoutez ce permalien à vos favoris.

Laisser un commentaire

Ce site utilise Akismet pour réduire les indésirables. En savoir plus sur la façon dont les données de vos commentaires sont traitées.